ID CP2335774

Parcele intre 770 mp si 4606 mp-ideal investitie-Sarata

ID CP2335774

8,500 € (negociabil)

Teren de 770 mp de vânzare
Sarata
770 mp

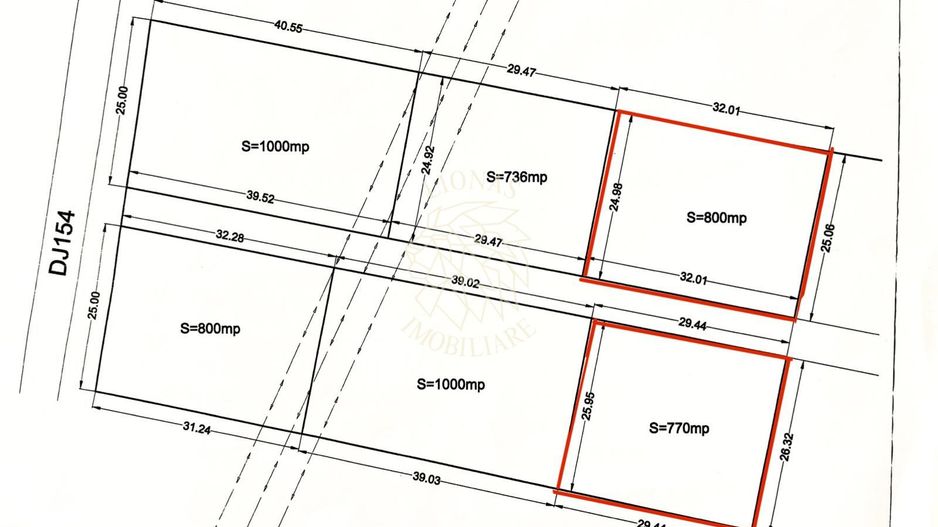
Va oferim spre vanzare un teren extravilan cu suprafata de 770 mp situat in Sarata.

Posibilitate de achizitie alte parcele de teren extravilan cu suprafetele de 800 mp, 4360 mp si 4606 mp.

- pretul este 1100 euro/ar (usor negociabil), iar pretul se negociaza in functie de suprafata de teren dorita

- zona linistita, verde

- terenul este plat

- front stradal de 29.44 m

- acces auto

Pentru mai multe detalii sau pentru programarea unei vizionari, va stam cu drag la dispozitie,

Vlad Toma 0745642044

Echipa LIONAS Imobiliare!

Citește mai mult

  • Tip teren
    Agricol
  • Suprafață teren
    770 mp
  • Front stradal
    29.44 m
  • Număr fronturi stradale
    1
  • Deschidere la
    Drum de servitute
  • Clasificare
    Extravilan
  • Disponibilitate
    Imediat

Facilități

Acces auto
Oportunitate de investiții
Străzi asfaltate
Vlad Toma - Lionas Imobiliare
Vlad Toma
Consultant Imobiliar

+40 745 642 044


Solicită chiar acum o vizionare
Telefon
Sună acum Solicită vizionare
Necesare:

Site-ul nu poate funcționa corect fără aceste cookie-uri. Vezi cookie-urile

Statistică:

Strângem statistici anonime despre voi, vizitatorii unici, pentru a vă îmbunătăți experiența dumneavoastră. Vezi cookie-urile

Marketing:

Pentru a ne promova mai eficient serviciile noastre, folosim cookies pentru a vă identifica și a vă oferi proprietăți și servicii personalizate. Vezi cookie-urile

Acest site folosește cookies, află detalii. Alege ce tipuri de cookies dorești să permitem: